MEJORAS EN INFRAESTRUCTURAS VIALES
Finalizan las obras de asfaltado de las calles Mayor y Patagonia
El ayuntamiento saca a concurso el acondicionamiento del futuro parking

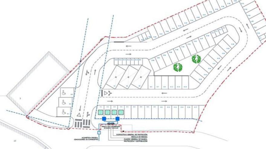
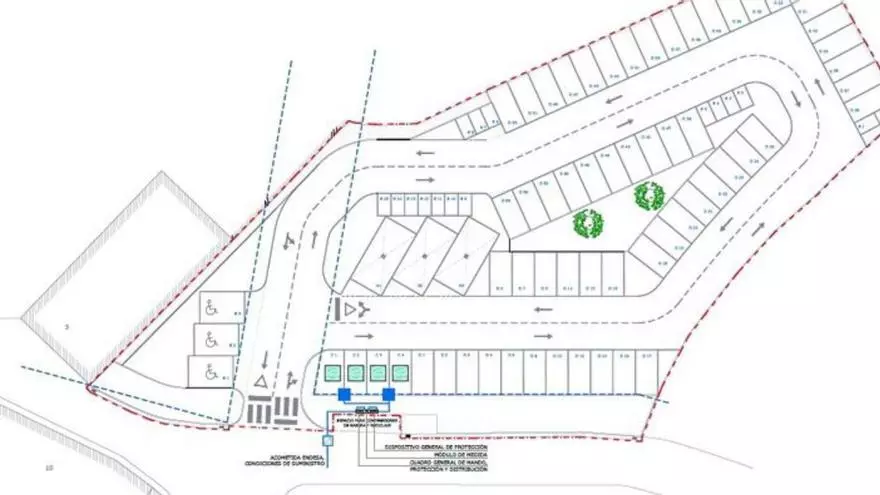
Plano del futuro aparcamiento entre Cuesta de la Colasa y Moncayo. | SERVICIO ESPECIAL / LA CRÓNICA cronicas@aragon.elperiodico.com
LA CRÓNICA
El Ayuntamiento de La Muela ha finalizado las obras de asfaltado de la calle Mayor y la calle Patagonia que se han venido realizando durante las últimas semanas, y continúa desarrollando nuevos trabajos para mejorar las infraestructuras viales de la localidad.

La calle Patagonia luce un aspecto renovado tras la finalización de los trabajos de asfaltado llevados a cabo por el Ayuntamiento de La Muela. | SERVICIO ESPECIAL / LA CRÓNICA cronicas@aragon.elperiodico.com
Así, el consistorio ha licitado el asfaltado del Camino del Manantial y de San Roque, por importe de 317.869,66 euros. Las ofertas pueden presentarse hasta el 29 de noviembre a las 23.59 horas.
Por otra parte, también ha salido a licitación el acondicionamiento de la parcela para aparcamiento público entre la calle Cuesta de la Colasa y la calle Moncayo, por importe de 237.694,46 euros. El plazo para presentar ofertas finaliza el 30 de noviembre de 2022 a las 23.59 horas.
- Los propietarios del hotel de Sabiñánigo que se ha quedado sin licencia: "Hemos pedido ser hostal y tampoco hemos podido"
- Rubén Sellés: 'Hemos protestado porque en el partido se ha parado el juego cuando han caído al césped jugadores del rival
- El Real Zaragoza cae en la prórroga frente al Burgos y dice adiós a la Copa del Rey (0-1)
- Una de las administraciones de lotería con más fortuna de España lanza el Superdécimo de Navidad: “500 euros en reintegros”
- Ya hay fecha para la reapertura de uno de los edificios más icónicos del paseo Independencia
- La crónica del Zaragoza-Burgos (0-1). Un adiós en un solo instante
- Dos robos a Asun en pleno centro de Zaragoza y un hombro roto: 'Nunca he estado tan indignada
- El estorbo de la Copa para el Zaragoza, los minutos resbaladizos de Dani Gómez y la sentencia definitiva de Bazdar